Floor Plans & Building Layouts

Explore detailed floor plans, unit combinations, mezzanine layouts, and building section drawings for Own It Vista’s modern flex condominiums.
These layouts illustrate how individual units can be combined into larger headquarters configurations up to approximately 9,210 SF.

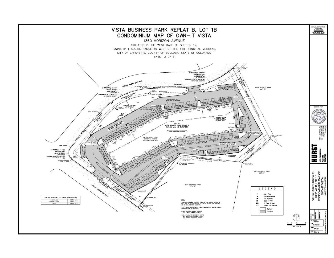
Site Plan

The site plan illustrates the building layout within Vista Business Park, including unit orientation, parking areas, drive lanes, loading access, and surrounding streets.

Building Floor Plan

Review the full building layout showing unit locations, drive-in doors, shared dock-high loading, circulation areas, and current availability within the project.

Exterior Elevation

This exterior elevation illustrates the modern storefront design, drive-in warehouse bays, second-floor office balconies, and architectural materials used throughout the project.

Multi-Unit Combination Options

Multiple units can be combined to create larger owner-occupied headquarters spaces.
Flexible configurations allow businesses to combine warehouse, office, showroom, or studio space in one building.

Combined layouts range from approximately 4,000 SF to 9,210 SF.

Units 106 & 107

Units 102 & 103 (could also be combined with Unit 202 which is above Unit 103)

Building Section Drawings

These vertical building sections illustrate interior clear heights, mezzanine locations, single-slope roof geometry, and structural spans throughout the building.

Units 106 & 107

Units 102 & 103, Units 103 & 202, or Units 102, 103 & 202

Ready to See These Spaces in Person?